Felipas Vorderpfötchen ist nach der ersten Operation gut verheilt. Nun sollte eigentlich das 2. Vorderbeinchen drankommen und ebenso gerichtet werden.
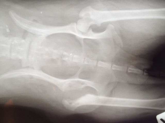
Aber Felipa ließ das eine Hinterbeinchen neuerdings so eigenartig hängen und trat nicht mehr damit auf. Also ließen wir es abklären. Es stellte sich heraus, dass sich der Knorpel des Oberschenkelhalskopfes zersetzt.
Die Ursache dafür sind genetisch bedingte Durchblutungsstörungen. Das kommt bei einigen kleineren Rassen vor. Es hat nichts mit der OP am Vorderbein zu tun.
Aber da Felipa das Hinterbein nicht ordnungsgemäß benutzen kann, musste sie also nun erst dort operiert werden, damit sie hinten auftreten kann, wenn das andere Vorderbein operiert wird.
Wir waren entsetzt, als wir es erfuhren. Aber es hilft ja nunmal nichts: Wer A sagt, muss auch B sagen.
Also hatte Felipa heute (01.08.) ihre 2.OP - allerdings wie gesagt ganz anders als geplant. Der Chirurg entfernte den kaputten Knorpel, wie man auch als Laie an den Aufnahmen gut erkennen kann.
Nun heißt es wieder Daumen drücken - und die nächsten Rechnungen zahlen.
Liebe Tierfreunde: bitte, bitte, ...
Unser Spendenkonto
Tierheim Verlorenwasser
Kontonummer: 35 27 00 34 00
Mittelbrandenburgische Sparkasse
Bankleitzahl: 160 500 00

